"Genevieve" toma fuerza y ya es huracán categoría 4

3 de Mayo de 2026

“Genevieve” toma fuerza y ya es huracán categoría 4

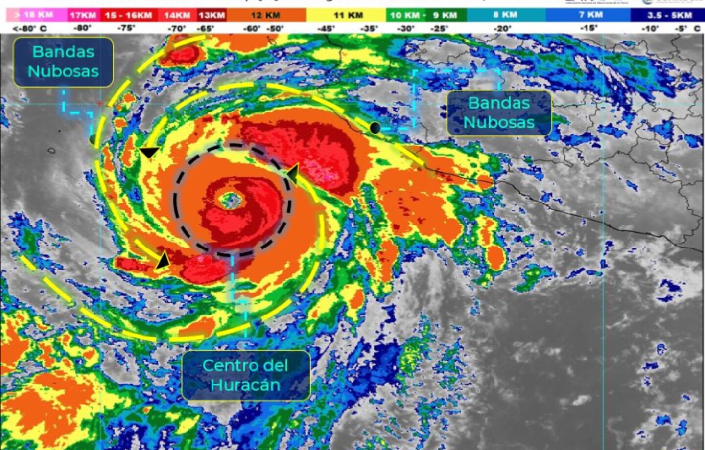
El huracán presenta vientos máximos sostenidos de 210 kilómetros por hora y rachas de 255 kilómetros por hora

ejecentral_huracan_genevieve

En apenas 48 horas, “Genevieve” escaló desde una tormenta tropical hasta convertirse en huracán categoría cuatro.

De acuerdo con el Servicio Meteorológico Nacional (SMN), “Genevieve” se localiza al oeste-suroeste de las costas de Colima; sus bandas nubosas ocasionarán lluvias muy fuertes con puntuales intensas, además de vientos fuertes y oleaje elevado en estados del occidente y sur de territorio nacional.

El huracán presenta vientos máximos sostenidos de 210 kilómetros por hora y rachas de 255 kilómetros por hora.

Se prevén lluvias puntuales intensas en Nayarit, Jalisco, Colima y Michoacán; puntuales muy fuertes en Sinaloa y Durango, así como lluvias puntuales fuertes en Baja California Sur y Zacatecas.

SMN indicó que es posible que “Genevieve” se degrade a categoría 3 el 20 de agosto frente a las costas sudcalifornianas y de ahí hacia el norte hasta se ciclón post-tropical.

https://twitter.com/conagua_clima/status/1295701039652323329?s=20

ES DE INTERÉS |

“Genevieve” ya es huracán categoría 1

Prevé Conagua que “Genevieve” se convierta en huracán este lunes